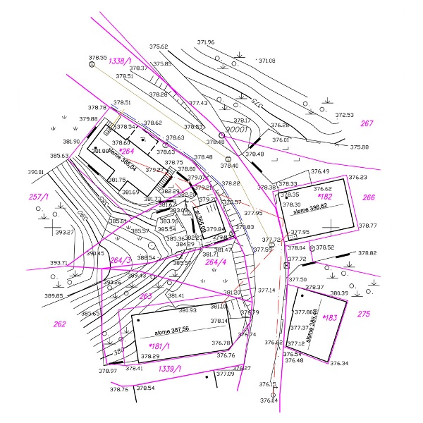
GEODETSKI NAčRT
Geodetski načrt je prikaz fizičnih struktur in pojavov nad, pod in na zemeljskem površju, z upoštevanjem kartografskih pravil v pomanjšanem merilu, podatkov iz uradnih evidenc ter drugih podatkov, ki so pomembni pri prostorskem načrtovanju, projektiranju in graditvi. Predstavlja osnovo za izdelavo planskih dokumentov ter projektne in tehnične dokumentacije, ki sta podlaga za posege v prostor.
Kvalitetno izdelan geodetski načrt je predpogoj za dobro izdelano dokumentacijo. Gre za prikaz dejanskega stanja terena, kjer so neposredno izmerjeni podatki in podatki iz evidenc ter drugih virov usklajeni. Geodetski načrt sestavljata grafični prikaz in certifikat.
Glede na namen uporabe ločimo:
- geodetske načrte za pripravo projektne dokumentacije za graditev objekta,
- geodetske načrte novega stanja zemljišča (izvedejo se po končani gradnji za pridobitev uporabnega dovoljenja)
- geodetske načrte za pripravo državnega in občinskega lokacijskega načrta.








